ÐÂÀËÀÖ¾ÓѶ ÓëÌìϵØÍõƵ³öÏà±È£¬?? ?6ÔÂ1ÈÕ£¬ÄÏÄþÁìÍÁ¾Ö³öÈõľ¿ªÇø4´óµØ¿é¹ÒÅÆ³öÈþùÓöÀ䣬ÒԵ׼۳ɽ»£¡GC2016-023¡¢GC?2016-024¡¢GC2016-026¾ù±»?ÄÏÄþ¼ÎͨÖÃÒµÓÐÏÞÔðÈι«Ë¾£¨ÒÔϼò³Æ¼ÎͨÖÃÒµ£©ÄÃÏ£»GC2016-025±»ÄÏÄþÊÐÑÅÁ¦¸»½¨ÉèͶ×ÊÓÐÏÞÔðÈι«Ë¾£¨ÒÔϼò³ÆÑÅÁ¦¸»£©ÄÃÏ¡£
6ÔÂ1ÈÕÍÁµØ³É½»Ò»ÀÀ±í
¾ÝÏàʶµ½¼ÎͨÖÃÒµÊÇÄÏÄþ¹ú¼Ò¾¼Ã¿ª·¢ÇøÕþ¸®Î¨Ò»µÄ¹úÓÐ×ʲúÔËÓªÉ̿ʱÓÅÖÊÔËÓªÉÌÆìÏÂ×Ó¹«Ë¾£¬¸Ã¹«Ë¾ÏÖÔú¸ù½ÄϾ¿ªÇø£¬ÏÖÔÚ¿ª·¢ÔÚÊÛÏîÄ¿ÓÐÄÏÄþ¿Ê±ÓÅÖÊÔËÓªÉ̹ú¼ÊÖÐÐÄ¡£
¼ÎͨÖÃÒµÏÖ³¡ÄõØ
ͬÑù£¬ÔçÔÚ2015Äê6ÔÂ19ÈÕ£¬ÑÅÁ¦¸»Ò²ÒÑÀֳɽṹ½ÄÏ£¬ÄÃÏÂÁËλÓÚ¾¿ªÇøÄǺé´óµÀÄϲࡢ±±²¿Íå1ºÅ·¶«ÃæµÄÅÄת¹ÒµØ¿é¡ª¡ª×ÏÀ¼¹«¹Ý£¬¸ÃÏîÄ¿ÊÇÑÅÁ¦¸»ÔÚÄÏÄþµÄÊ׸ö·¿µØ²úÏîÄ¿¡£Í¬Äê7ÔÂ22ÈÕ£¬ÑÅÁ¦¸»ÄÃÏÂÁËGC2015-084µØ¿éÔòλÓÚ¾¿ªÇø¹ú¿´óµÀ±±²à¡¢¹ú¿¶þ֧·Î÷²à¡ª¡ª½õÀ¼¹«¹Ý¡£×èÖ¹½ñÈÕ£¬ÑÅÁ¦¸»ÀֳɽṹÄÏÄþ½ÄÏÇø3´óÏîÄ¿¡£¾ÝÑÅÁ¦¸»ÏÖ³¡ÈÏÕæÈËÏÈÈÝÑÅÁ¦¸»Îª±¾ÍÁÆóÒµ£¬×ÏÀ¼¹«¹Ý¡¢½õÀ¼¹«¹Ý2´óÏîÄ¿½ñÄê9Ô·ÝÍÆ³ö£¬¸ÕÐèΪÖ÷£¬Ã«Å÷¼Û5800µ½6000ԪÿƽÃס£¶ø´Ë´ÎÄÃϵĵؿ齫½¨ÉèµÍÃܶȵĸÄÉÆÐÍСÑó·¿¡£
ÑÅÁ¦¸»ÏÖ³¡Ç©Ô¼ÄõØ
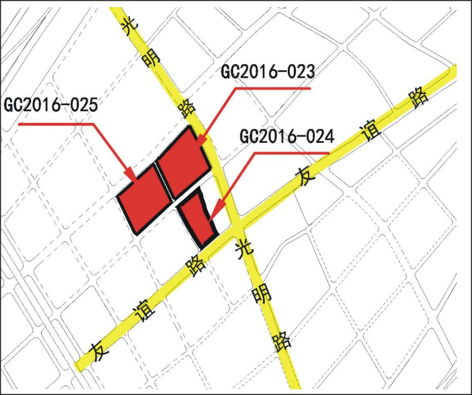
£¨Ò»£©GC2016-023µØ¿éλÓÚ¾¿ªÇø×ÆË¸Â·Î÷²à¡¢ÓÑÒê·±±Ãæ,×ڵغţº450105102001GB00195£»³öÈÃÃæ»ý85820.28ƽ·½Ã×£¨ÕÛºÏ128.730Ķ£©£¬ÍÁµØÅú×¼ÓÃ;£º³ÇÕòסլÓõء¢Åú·¢ÁãÊÛÓõأ»ÍÁµØÊ¹ÓÃÄêÏÞ£º³ÇÕòסլÓõØ70Äê¡¢Åú·¢ÁãÊÛÓõØ40Äê¡£
Ö÷ÒªÍýÏëÉè¼ÆÌõ¼þ£ºÈÝ»ýÂÊ£¾1.0ÇÒ¡Ü2.0, ÐÞ½¨Ãܶȣ¾20%ÇÒ¡Ü30%£¬Â̵ØÂÊ¡Ý35%£¬ÐÞ½¨¸ß¶È¿ØÖÆÒªÇó£ºÖª×ã»ú³¡ÏÞ¸ßÒªÇó£¬Îݶ¥±ê¸ßСÓÚ168Ãס£ÉÌÒµÐÞ½¨Ãæ»ýÕ¼ÅÌËãÈÝ»ýÂʵÄ×ÜÐÞ½¨Ãæ»ý±ÈÀýΪ5%-10%£¬ÆäÓàΪסլ¡£
ÆäËûÍýÏëÉè¼ÆÒªÇó°´¡¶ÄÏÄþÊÐÍýÏëÖÎÀí¾Ö½¨ÉèÏîÄ¿ÍýÏëÉè¼ÆÌõ¼þ֪ͨÊé¡·£¨ÉóÅúºÅ£ºJKCR2016-010£©ºÍ¡¶ÄÏÄþÊз¿µØ²ú¿ª·¢ÏîÄ¿½¨ÉèÌõ¼þÒâ¼ûÊé¡·£¨ÄϾ·¿¿ª·¢Òâ¼ûÊé[2016]4ºÅ£©µÄ»®¶¨Ö´ÐС£
¹ÒÅÆÆðʼ¼ÛΪÈËÃñ±Ò127ÍòÔª/Ķ£¬¾ºÂò°ü¹Ü½ðΪÈËÃñ±Ò3270ÍòÔª¡£
£¨¶þ£©GC2016-024µØ¿éλÓÚ¾¿ªÇø×ÆË¸Â·Î÷²à¡¢ÓÑÒê·±±Ãæ,×ڵغţº450105102001GB00196£»³öÈÃÃæ»ý43957.89ƽ·½Ã×£¨ÕÛºÏ65.937Ķ£©£¬ÍÁµØÅú×¼ÓÃ;£º³ÇÕòסլÓõء¢Åú·¢ÁãÊÛÓõأ»ÍÁµØÊ¹ÓÃÄêÏÞ£º³ÇÕòסլÓõØ70Äê¡¢Åú·¢ÁãÊÛÓõØ40Äê¡£
Ö÷ÒªÍýÏëÉè¼ÆÌõ¼þ£ºÈÝ»ýÂÊ£¾1.0ÇÒ¡Ü2.0, ÐÞ½¨Ãܶȣ¾20%ÇÒ¡Ü32%£¬Â̵ØÂÊ¡Ý35%£¬ÐÞ½¨¸ß¶È¿ØÖÆÒªÇó£ºÖª×ã»ú³¡ÏÞ¸ßÒªÇó£¬Îݶ¥±ê¸ßСÓÚ168Ãס£ÉÌÒµÐÞ½¨Ãæ»ýÕ¼ÅÌËãÈÝ»ýÂʵÄ×ÜÐÞ½¨Ãæ»ý±ÈÀýΪ10%-15%£¬ÆäÓàΪסլ¡£
ÆäËûÍýÏëÉè¼ÆÒªÇó°´¡¶ÄÏÄþÊÐÍýÏëÖÎÀí¾Ö½¨ÉèÏîÄ¿ÍýÏëÉè¼ÆÌõ¼þ֪ͨÊé¡·£¨ÉóÅúºÅ£ºJKCR2016-012£©ºÍ¡¶ÄÏÄþÊз¿µØ²ú¿ª·¢ÏîÄ¿½¨ÉèÌõ¼þÒâ¼ûÊé¡·£¨ÄϾ·¿¿ª·¢Òâ¼ûÊé[2016]6ºÅ£©µÄ»®¶¨Ö´ÐС£
¹ÒÅÆÆðʼ¼ÛΪÈËÃñ±Ò132ÍòÔª/Ķ£¬¾ºÂò°ü¹Ü½ðΪÈËÃñ±Ò1741ÍòÔª¡£
£¨Èý£©GC2016-025µØ¿éλÓÚ¾¿ªÇø×ÆË¸Â·Î÷Ãæ¡¢ÓÑÒê·±±Ãæ,×ڵغţº450105102001GB00197£»³öÈÃÃæ»ý81528.69ƽ·½Ã×£¨ÕÛºÏ122.293Ķ£©£¬ÍÁµØÅú×¼ÓÃ;£º³ÇÕòסլÓõء¢Åú·¢ÁãÊÛÓõأ»ÍÁµØÊ¹ÓÃÄêÏÞ£º³ÇÕòסլÓõØ70Äê¡¢Åú·¢ÁãÊÛÓõØ40Äê¡£
Ö÷ÒªÍýÏëÉè¼ÆÌõ¼þ£ºÈÝ»ýÂÊ£¾1.0ÇÒ¡Ü2.0, ÐÞ½¨Ãܶȣ¾20%ÇÒ¡Ü30%£¬Â̵ØÂÊ¡Ý35%£¬ÐÞ½¨¸ß¶È¿ØÖÆÒªÇó£ºÖª×ã»ú³¡ÏÞ¸ßÒªÇó£¬Îݶ¥±ê¸ßСÓÚ168Ãס£ÉÌÒµÐÞ½¨Ãæ»ýÕ¼ÅÌËãÈÝ»ýÂʵÄ×ÜÐÞ½¨Ãæ»ý±ÈÀýΪ5%-10%£¬ÆäÓàΪסլ¡£
ÆäËûÍýÏëÉè¼ÆÒªÇó°´¡¶ÄÏÄþÊÐÍýÏëÖÎÀí¾Ö½¨ÉèÏîÄ¿ÍýÏëÉè¼ÆÌõ¼þ֪ͨÊé¡·£¨ÉóÅúºÅ£ºJKCR2016-011£©ºÍ¡¶ÄÏÄþÊз¿µØ²ú¿ª·¢ÏîÄ¿½¨ÉèÌõ¼þÒâ¼ûÊé¡·£¨ÄϾ·¿¿ª·¢Òâ¼ûÊé[2016]5ºÅ £©µÄ»®¶¨Ö´ÐС£
¹ÒÅÆÆðʼ¼ÛΪÈËÃñ±Ò126ÍòÔª/Ķ£¬¾ºÂò°ü¹Ü½ðΪÈËÃñ±Ò3082ÍòÔª¡£
µØ¿éλÖÃʾÒâͼ
GC2016-026µØ¿éλÓÚ¾¿ªÇøÓÑÒê·Î÷²à¡¢ÄǺé´óµÀ±±²à,×ڵغţº450105004002GB00140£»³öÈÃÃæ»ý9305.34ƽ·½Ã×£¨ÕÛºÏ13.958Ķ£©£¬ÍÁµØÅú×¼ÓÃ;£º³ÇÕòסլÓõأ»ÍÁµØÊ¹ÓÃÄêÏÞ£º70Äê¡£
Ö÷ÒªÍýÏëÉè¼ÆÌõ¼þ£ºÈÝ»ýÂÊ£¾2.5ÇÒ¡Ü4.0, ÐÞ½¨Ãܶȣ¾22%ÇÒ¡Ü30%£¬Â̵ØÂÊ¡Ý35%¡£
ÍâµØ¿éÐëÅ佨ÐÞ½¨Ãæ»ý7000ƽ·½Ã׵Ĺ«¹²·þÎñÓ÷¿£¬½¨³ÉºóÎÞ³¥Òƽ»¸ø¾¿ªÇøÄǺé½ÖµÀ°ì£¬²¢ÐÖúÖÎÀí²úȨ¹ÒºÅÊÖÐø¡£
ÆäËûÍýÏëÉè¼ÆÒªÇó°´¡¶ÄÏÄþÊÐÍýÏëÖÎÀí¾Ö½¨ÉèÏîÄ¿ÍýÏëÉè¼ÆÌõ¼þ֪ͨÊé¡·£¨ÉóÅúºÅ£ºJKCR2016-001£©ºÍ¡¶ÄÏÄþÊз¿µØ²ú¿ª·¢ÏîÄ¿½¨ÉèÌõ¼þÒâ¼ûÊé¡·£¨ÄϾ·¿¿ª·¢Òâ¼ûÊé[2016]1ºÅ£©µÄ»®¶¨Ö´ÐС£
¹ÒÅÆÆðʼ¼ÛΪÈËÃñ±Ò319ÍòÔª/Ķ£¬¾ºÂò°ü¹Ü½ðΪÈËÃñ±Ò891ÍòÔª¡£
GC2016-026µØ¿éλÖÃʾÒâͼ








